Leno wurde am 07.04.2010 von uns nach Graz vermittelt. Seine Besitzerin hatte angegeben, sie kann ihn in die Arbeit mitnehmen – das war leider nicht so, er war den ganzen Tag alleine zuhause. Daher hat er angefangen zu streunern und ist am 06.08.2010 von einem Auto angefahren worden.
Seine Besitzerin wollte und konnte ihn nicht operieren lassen und wir haben sie überreden können, Leno an uns zurückzugeben.
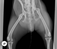
Ich bin mit ihm am Sonntag, den 08.08.2010 nach Wien in die Tierklinik Breitensee gefahren und dort wurde er sofort stationär aufgenommen. In der Nacht von Dienstag auf Mittwoch wurde er operiert – 5 Stunden hat die OP gedauert.
Nun ist er wieder zuhause und es geht ihm den Umständen entsprechend gut. Er läuft auf 3 Beinen und er kann Kot und Urin halten und auch kontrolliert absetzen. Die meiste Zeit schläft er in seinem Korb im Wohnzimmer – nachts darf er natürlich neben meinem Bett im Schlafzimmer schlafen – damit ich mit ihm rausgehen kann, sollte er raus müssen.
Wir haben einen Spendenaufruf gemacht – über unseren Verteiler, das Wuff Forum und Facebook und ich bin total von den Socken wie viel Spenden wir erhalten haben. Wir können die OP bezahlen, Leno´s Nachbehandlung und die Aquatherapie sind ebenfalls abgedeckt.
Vom Verein Freunde der Tierecke haben wir eine Zusage über 700 Euro erhalten.
Die Kontrolle am 21.08.2010 verlief nicht so gut, leider hat sich auf der rechten Seite etwas verschoben sodass wir am 26.08.2010 nochmals zur Kontrolle nach Wien fahren müssen. Dann ist auch Frau Dr. Rössel anwesend und wir werden besprechen, was wir machen.
Bei der Kontrolle am 26.08.2010 musste Frau Dr. Rössel Leno noch ein mal operieren. Sie hat ihm die beiden Stifte links hinten entfernt, da er bei der Untersuchung große Schmerzen in diesem Bereich gezeigt hat. Die OP war aber kurz und wir konnten schnell wieder nach Hause fahren.
Leider steigt Leno links noch immer nicht auf und wir probieren es jetzt mit einer Cortisonbehandlung – dazu brauchen wir aber nicht nach Wien fahren, das kann mein Tierarzt machen.
Leno hat mittlerweile 2 Spritzen mit Cortison erhalten – leider hat es nichts verändert. Er hat auch aufgrund von Nervenschädigungen bereits einen erheblichen Muskelschwund im Bereich des Kopfes und im linken Hinterbein.
Diese Cortisonbehandlung hat 50 Euro gekostet.
Aufstellung der OP Kosten:
2.350,45 Euro minus Tierschutzrabatt von 30 % = 1.651,60 Euro minus Zuschuss von der Tierecke von 700 Euro = Restbetrag von 951,60 Euro – den ich dank der Spender bereits vollständig einbezahlt habe.
Ich bedanke mich von ganzem Herzen bei allen Spendern, die uns so toll unterstützt haben.
D A N K E !!!
21.3.2011:
Leno hat sich mittlerweile gut erholt – er hat über den Winter durch spielen und toben seine Muskeln aufgebaut und braucht daher keine Aquatherapie. Nach Rücksprache mit einigen Spendern, darf ich die Spenden für Leno für andere Hunde (Darwin, Dora, Snoopy) verwenden. Danke auch hier!
Leno durfte am 17.6.2011 in sein neues Zuhause ziehen!
Leno hatte ein langes und schönes Leben bei seiner Familie und er wurde sehr geliebt. Leider ist er am 30.8.2023 gestorben. RIP Leno!












